2023/03/01
伊浜港の水道の使用について
伊浜港の全水道の使用についてお知らせします。漁協の方針により本日3月1日より港の全ての水道を漁業従事者のみの使用に限りその他一般の方の使用を中止するそうです。
従来、伊浜地区は水道メーターが無く蛇口の数で全ての住民が支払っていました。
令和4年4月から約8ケ月間かけて地区内全ての民家他施設に水道メーターを設置しました。
このような背景がありますので皆様のご理解をお願い致します。
2023/02/27
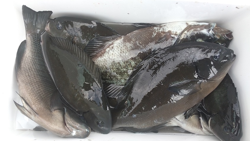
■本日の釣果■
水温 17,5 度 澄み 少し波あり 潮流れず本日は月曜日ながらササラ・外ハラモ・灯台下・丸島・カド・赤島・トンガリ・トーフ・マナイタ・黒島・ハズレドコまで1人ずつではありますが渡っていただきました。
残念ながら40cmオーバーは出ず38cmまで(マナイタ)という結果になりました。
前回、水曜日と比べて食い渋りました。
明日、火曜日は全国的に気温が上がり南よりの風が強まるため出船を中止します。
今のところ分かる範囲では木曜日までお休みとなりそうです。
2023/02/22
■本日の釣果■
水温 17,5 度 澄み 高いウネリ 潮流れずメジナ 40〜43cm 3匹 マナイタ 2人
黒鯛 41〜47cm 3匹 ; ;
メジナ 40cm 2匹 カゴオケ 1人
メジナ 28〜38cm 20匹 赤島 2人
メジナ 34〜37cm 5匹 長崎 1人
本日のメジナトップはマナイタで43cmまでと黒鯛・ヘダイを釣られました安孫子様ご夫妻でした。(画像1)
カゴオケで40cmを釣られたのは石田さまでした。(画像2)
(画像3)は長崎で釣られました平柳様の釣果です。
赤島の釣果は藤原様ご夫妻でした。
明日、天皇誕生日は一時的に西風が強まるようですので出船を中止します。
25日の土曜日についてご案内いたします。
現時点で出船出来るかどうかは決定しておりません。
ただし、先週予定した釣具屋さんの大会を予備日としておりましたので今週25日も貸し切りで行う予定です。
2023/02/21
明日は出船します
本日、火曜日は朝方まで吹いた西風の影響で高い波が残りました。画像は今朝6時半の伊浜港の様子です。
明日、水曜日は高気圧に覆われて北東風ですので6時30分に出船します。
なお、あさって天皇誕生日は現時点で微妙な予報で明日夕方に決定します。
2023/02/16
■本日の釣果■
水温 17,6 度 澄み ややウネリ有り 潮流れずメジナ 38〜40cm 4匹 ハズレドコ 1人
メジナ 29〜38cm 10匹 カグラ 1人
メジナ 28〜32cm 6匹 赤島 1人
ヘダイ 45cm 1匹 ; ;
ブダイ 30〜41cm 20匹 トーフの横 2人
本日のメジナトップはハズレドコで40cmまで釣られた千田さまでした。(画像1)
画像2は赤島でメジナ・ヘダイを釣られた西川様の釣果です。
カグラのメジナは日曜日と同じ佐藤さまでした。
トーフ横のブダイは塩沢様&山梨様でした。
明日、金曜日は朝から西風でお昼頃に強まるようですので出船を中止します。
なお、18日土曜日に予定された釣り具屋さん主催の大会は予報が悪いため中止が決定しました。(おそらく当日の出船も中止となります。)
2023/02/12
■本日の釣果■★
水温 17,5 度 澄み ややウネリ 緩い上り潮メジナ 33〜42cm 10匹 マナイタ 2人
メジナ 30〜42cm 17匹 赤島 2人
メジナ 30〜39cm 10匹 灯台下 1人
マダイ 1,9kg 1匹 富士山 1人
心配されたウネリもどうにか収まり予定時刻に出船できました。
本日は立島からハズレドコまでほとんどの磯に渡りました。
速報以外でも全体的に35〜38cmのメジナを釣られました。
マナイタでは40cmアップを4匹、小館様&成岡様でした。(画像1)
赤島のメジナは三崎様&屋代様でした。
灯台下のメジナは海発様の釣果でした。
富士山のマダイは先週に続き柴田様でした。(画像2)
本日は定員限定での営業となりましてお断りさせていただきました皆様には大変申し訳ございませんでした。
明日、月曜日は再び低気圧が接近するため出船を中止します。
2023/02/09
■本日の釣果■
水温 17,5 度 澄み やや高いウネリ 上り潮メジナ 32〜42cm 7匹 ハズレドコ 1人
メジナ 30〜36cm 7匹 カグラ 1人
昨日までと比べてメジナの食いが渋かったです。
その中でもハズレドコで41cm・42cmと2匹釣られ本日のメジナトップは平柳さまでした。
カグラは佐藤様の釣果でした。
明日、金曜日は南岸低気圧が発達しながら接近するため出船を中止します。
このまま沿岸すれすれを通過するようですと土曜日の出船も厳しいかもしれません。
明日の夕方に決定します。
2023/02/08
■本日の釣果■
水温 18,0 度 澄み 凪から高い波 上り潮メジナ 32〜40cm 6匹 マナイタ 1人
メジナ 30〜38cm 16匹 ササラ 2人
本日は凪から1時過ぎに荒れてきました。
メジナトップはマナイタで40cmを釣られました安孫子さまでした。(画像1)
ササラの釣果は加賀&宮内さまでした。(画像2)
明日、木曜日も6時30分に出船します。
2023/02/07
■本日の釣果■
水温 17,5 度 澄み 凪 上り潮メジナ 32〜44cm 3匹 ハズレドコ 1人
メジナ 28〜42cm 3匹 黒島 2人
イサキ 21〜28cm 23匹 ; ;
ハズレドコ裏水路で44cm口太を釣られたのは石塚さまでした。(画像1)
黒島船付けで42cm尾長を釣られたのは山田さまでした。(画像2)
他、ササラ・灯台下・カド・トーフ・マナイタでは35cm位までとなりました。
明日、水曜日も6時30分に出船します。ただし、夕方から渡船連合会の総会に出席するため14時で終了とさせていただきます。
2023/02/06
明日は出船します
本日、月曜日は予報が悪いためお休みしました。昼頃から西風がやや吹いて海上はざわつきました。明日、火曜日は当初より低気圧の動きが遅れているため安全と判断しまして6時30分に出船します。(雨も無いようです)
■
渡船・宝洋丸
〒415-0531
静岡県賀茂郡南伊豆町伊浜643-2 TEL0558-67-0601













